不動産,土地,千葉市,花見川区,実籾駅,八千代台駅,大和田駅,幕張駅,幕張本郷駅,新検見川駅,未来タウン株式会社
Top Page   一戸建て購入  土地購入  マンション購入   ファミリー賃貸  事業用賃貸  メルマガ  資料ご請求    ブログ
不動産取引のための知識集  会社案内  代表プロフィル  求   人  mr.omiyaの不動産アドバイス  リンク集  お問い合わせ

千葉不動産の未来タウン(株)・注目物件

売 地
建築条件なし:お好きなハウスメーカーで建築可能
JR/京成の2路線利用可能
資料請求 <戻る
千葉市花見川区幕張町1丁目
終了しました ありがとうございます。
・JR総武中央緩行線「幕張本郷駅」徒歩約15分
・京成千葉線「京成幕張駅」徒歩約15分
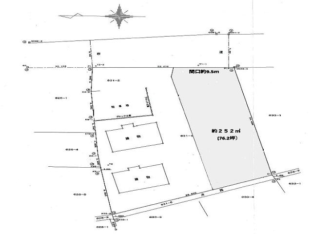
                           区画図

現地写真








その他の概要
土地権利 所有権 地 目 宅地
都市計画 市街化区域 用途地域 第一種住居
建ぺい率
/容積率
60%/200%
設備 上下水道・都市ガス
現 況 更地 取引形態 専任
引渡日 相談 備考 敷地面積119.69㎡(約36.2坪)
前面道路約4m、接道約7m
情報公開日
次回更新予定日
2025年8月9日
------------

※図面・写真・説明と異なる場合は現況を優先いたします。
資料ご請求

TELは 047-455-6110

その他の注目物件            千葉市,花見川区,習志野市,八千代市のTop Page


未来タウン株式会社 〒275-0002 千葉県習志野市実籾3丁目2-2
 宅建業免許    千葉県知事(9)10122
(一社)千葉県宅地建物取引業協会会員
(公社)首都圏不動産公正取引協議会加盟事業者